沖縄の不動産(売土地)
沖縄の不動産(売土地)
沖縄不動産特集! 売土地

●所在地/恩納村字喜瀬武原59番・59番2
■ 価格:1,148万円
●土 地/543.24㎡ : 164.33坪
●坪単価/7万円
★間口広々30M
★希少物件、早い者勝ち!!
■物件概要
●土地権利/所有権 ●地目/宅地・原野 ●都市計画/都市計画区域外 ●国土法/届出不要 ●用途地域/未指定地域 ●建ペイ率/ ●容積率/200% ●条例/恩納村環境保全条例・景観条例あり ●取引/媒介
![]()
●所在地/うるま市勝連浜246番1 外2筆
■ 価格:4,768万円
●土 地/2,424㎡ : 733.56坪
●坪単価/6.5万円
★リゾート地の浜比嘉島です。
★目の前が、海の好立地。間口は、約91M。
★県道沿いの広々敷地です。
■物件概要
●土地権利/所有権 ●地目/原野 ●都市計画/未指定 ●国土法/届出不要 ●用途地域/無指定 ●建ペイ率/60% ●容積率/200% ●条例/うるま市景観条例 ●他の法令上の制限/開発許可 ●取引/仲介
↓↓ ★現地よりの海の眺めです。★ ↓↓


●所在地/うるま市豊原191-3・191-9
■ 価格:2,910万円
●土 地/740.24㎡ : 223.92坪
●坪単価/13万円
★県道沿い、角地です。
★希少物件、早い者勝ち!!
■物件概要
●土地権利/所有権 ●地目/畑・宅地 ●都市計画/未線引き区域 ●国土法/届出不要 ●用途地域/未指定地域 ●建ペイ率/60% ●容積率/100% ●取引/仲介

●所在地/沖縄市高原4丁目115番4
■ 価格:12,20万円
●土 地/258.57㎡ : 78.22坪
●坪単価/約15.5万円
★閑静な住宅地
★希少物件、早い者勝ち!!
■物件概要
●土地権利/所有権 ●地目/宅地 ●都市計画/未線引き区域 ●国土法/届出不要 ●用途地域/第一種低層住宅 ●建ペイ率/50●容積率/100% ●条例/ ●取引/媒介
![]()
拡大図面は、下記の「図面」又は「アイコン」をクリックして下さい。
上記の参考プランは、SHELLS DESIGN(シェルズデザイン)より提供です。
![]()
●所在地/石川東恩納桃原594番3
■ 価格:670万円
●土 地/123.06㎡ : 37.23坪
●坪単価/約18万円
★角地。間口広々19M!
★買い物便利。スーパーまで徒歩2分
■物件概要
●土地権利/所有権 ●地目/宅地 ●都市計画/非線引き ●国土法/届出不要 ●用途地域/第一種住居地域 ●建ペイ率/60%●容積率/200% ●条例/うるま市景観条例 ●取引/仲介

●所在地/北中城村島袋17番地
■ 価格:2,372万円
●土 地/313.79㎡ : 94.92坪
●坪単価/約24.9万円
★JA島袋営業所近く。人気エリア。
★希少物件、早い者勝ち!!
■物件概要
●土地権利/所有権 ●地目/宅地 ●都市計画/市街化区域 ●国土法/届出不要 ●用途地域/第一種低層住宅 ●建ペイ率/50●容積率/100% ●条例/ ●取引/仲介

●所在地/沖縄市比屋根1丁目14番4
■ 価格:1,440万円
●土 地/190.47㎡ : 57.62坪
●坪単価/25万円
★間口広々、27.6M。角地です。
★希少物件、早い者勝ち!!
■物件概要
●土地権利/所有権 ●地目/宅地 ●都市計画/未線引き区域 ●国土法/届出不要 ●用途地域/第1種中高層住居専用地域 ●建ペイ率/60% ●容積率/200% ●取引/仲介
![]()
●所在地/北中城村字島袋島17番5・17番6
■ 価格:1,339万円
●土 地/177.06㎡ : 53.56坪
●坪単価/25万円
★南東向きの角地。高台です。
★希少物件、早い者勝ち!!
■物件概要
●土地権利/所有権 ●地目/宅地 ●都市計画/市街化区域 ●国土法/届出不要 ●用途地域/第1種低層住宅専用地域 ●建ペイ率/50% ●容積率/100% ●取引/仲介
![]()
●所在地/読谷村字宇座66番
■ 価格:1,007万円
●土 地/246.66㎡ : 74.61坪
●坪単価/13.5万円
★残波ビーチ近く、距離1.4Kmの好立地です。
★南東角地の明るい土地。間口は、約28M。
★7月~8月の間、近隣のホテルより週3~4回の打ち上げ花火が見えます。
■物件概要
●土地権利/所有権 ●地目/宅地 ●都市計画/未指定 ●国土法/届出不要 ●用途地域/無指定 ●建ペイ率/60% ●容積率/200% ●条例/読谷村景観条例 ●取引/仲介
![]()
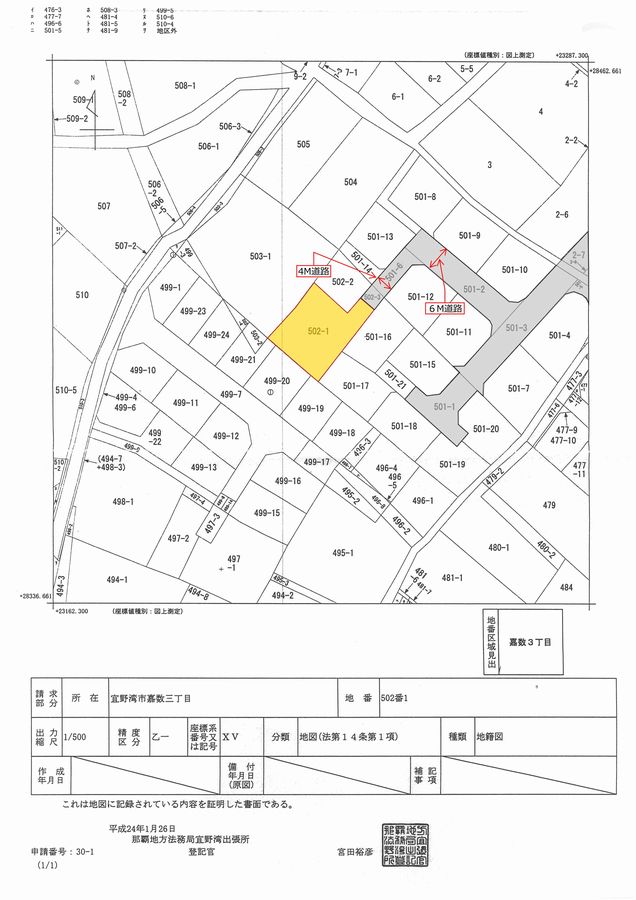
●所在地/宜野湾市嘉数3丁目502番1
■ 価格:1,680万円
●土 地/271㎡ : 81.98坪
●坪単価/20.5万円
★希少物件です。閑静な住宅街。
★国道330号線の近くです。
■物件概要
●土地権利/所有権 ●地目/畑 ●都市計画/市街化区域 ●国土法/届出不要 ●用途地域/第1種低層住居専用地域 ●建ペイ率/50% ●容積率/100% ●取引/仲介
![]()
●所在地/沖縄市泡瀬1丁目31番1
■ 価格:1,343万円
●土 地/286.52㎡ : 86.67坪
●坪単価/15.5万円
★角地・泡瀬小学校まで、徒歩5分です。
★間口32mで広々、閑静な住宅地です。
■物件概要
●土地権利/所有権 ●地目/宅地 ●都市計画/未線引 ●国土法/届出不要 ●用途地域/第1種中高層住居地域 ●建ペイ率/60% ●容積率/200% ●取引/仲介
![]()
拡大図面は、下記の「図面」をクリックして下さい。
上記の参考プランは、SHELLS DESIGN(シェルズデザイン)より提供です。
![]()
●所在地/うるま市字上江洲389番
■ 価格:465万円
●土 地/170.98㎡ : 51.71坪
●坪単価/9万円
★B号地は、495.24㎡/149.81坪。坪8.5万円です。
★間口広々、住宅兼アパート最適です!
■物件概要
●土地権利/所有権 ●地目/宅地 ●都市計画/未線引 ●国土法/届出不要 ●用途地域/無指定地域 ●建ペイ率/60% ●容積率/200% ●条例/うるま市景観条例 ●取引/仲介
![]()
拡大図面は、下記の「図面」又は「アイコン」をクリックして下さい。
上記の参考プランは、SHELLS DESIGN(シェルズデザイン)より提供です。
![]()
●所在地/沖縄市上地4丁目1054番1・1052番4
■ 価格:2,320万円
●土 地/319.33㎡ : 96.60坪
●坪単価/約24万円
★中の町小学校近く。希少物件です。
★間口広々17M有り。住宅兼アパート最適!
■物件概要
●土地権利/所有権 ●地目/宅地・山林 ●都市計画/未線引 ●国土法/届出不要 ●用途地域/第1種住居専用地域 ●建ペイ率/60% ●容積率/200% ●法令上の制限/中の町文教地区 ●取引/仲介
![]()
●所在地/沖縄市登川3丁目1815番1
■ 価格:2,510万円
●土 地/360.85㎡ : 109.16坪
●坪単価/23万円
★国道329号線沿い・間口広々
★住宅用地又は、商業用施設用地として最適。
■物件概要
●土地権利/所有権 ●地目/宅地 ●都市計画/未指定 ●国土法/届出不要 ●用途地域/無指定 ●建ペイ率/70% ●容積率/200% ●取引/仲介
![]()
●所在地/うるま市石川 西区画整理地
■ 価格:660万円~700万円
●土 地/272.5㎡ : 82.43坪
●坪単価/8万円~
★閑静な住宅地・間口広々13M。
★買い物、通学、便利です。
■物件概要
●土地権利/所有権 ●地目/畑 ●都市計画/未指定 ●国土法/届出不要 ●用途地域/第1種低層住宅専用地域 ●建ペイ率/50% ●容積率/100% ●農地法/5条許可申請 ●景観法/うるま市景観条例 ●取引/仲介


















